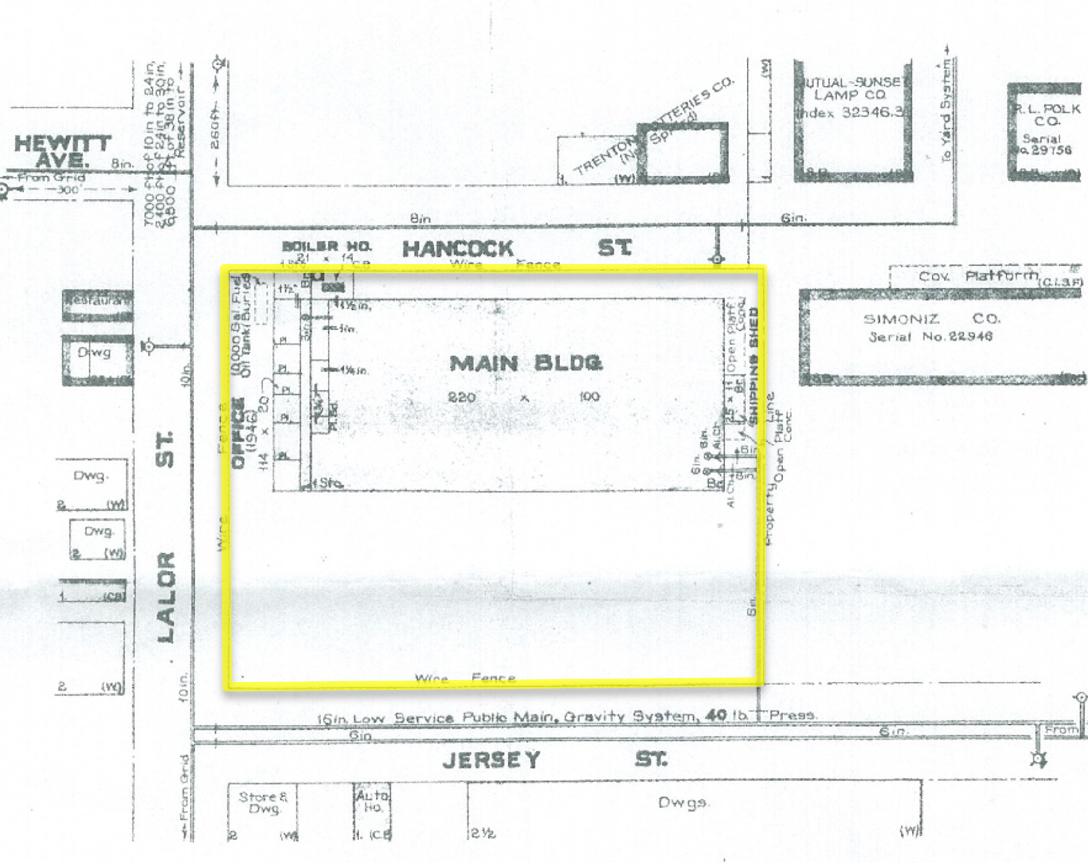
480 Lalor Street (L), Trenton NJ 08611

Trenton, NJ, 08611

About

 Industrial Building, Retail Frontage

  • 27,362 SF Building; 100’ Width
  • Lot Size 1.4 Acres – 4 Corners Block to Block
  • 12’ Clear Ceilings; 1 Loading Dock
  • City Sewer; Wet Sprinkler
  • Power: 900 Amps
  • 10’x12’ Chemical Storage Room
  • Cars per day: 20,000
  • Parking: 30 cars, fenced in lot
  • Zoning: B1S
  • Urban Enterprise Zone; Opportunity Zone
  • Direct access to Rt. 29 and Exit 7A NJ Turnpike

Details

Type: Industrial Building for Lease

Building Type: Building for Lease

Space Available: 27,362 SF

Building Size: 27,362 SF

Lease Rate: $10.00/SF

Operating Costs: est. $4/00/SF

Parking: 30 cars, fenced in lot

Elevators:

Zoning: B1S

HVAC:

Drive-In Bays: 1 Loading Dock

Ceiling Height: 12'

Stories: